关于清流县金星园三通一平二期工程《建设工程设计方案审查》的批前公示
经清流县金星园建设发展有限公司申请,我局现将清流县金星园三通一平二期工程方案的具体内容公示如下。在公示期间,有关单位或个人对该项目审批有任何意见或建议的,可在公示期内以书面等法定形式向我局反映,逾期未提出的,视为放弃权利。
一、公示的主要内容
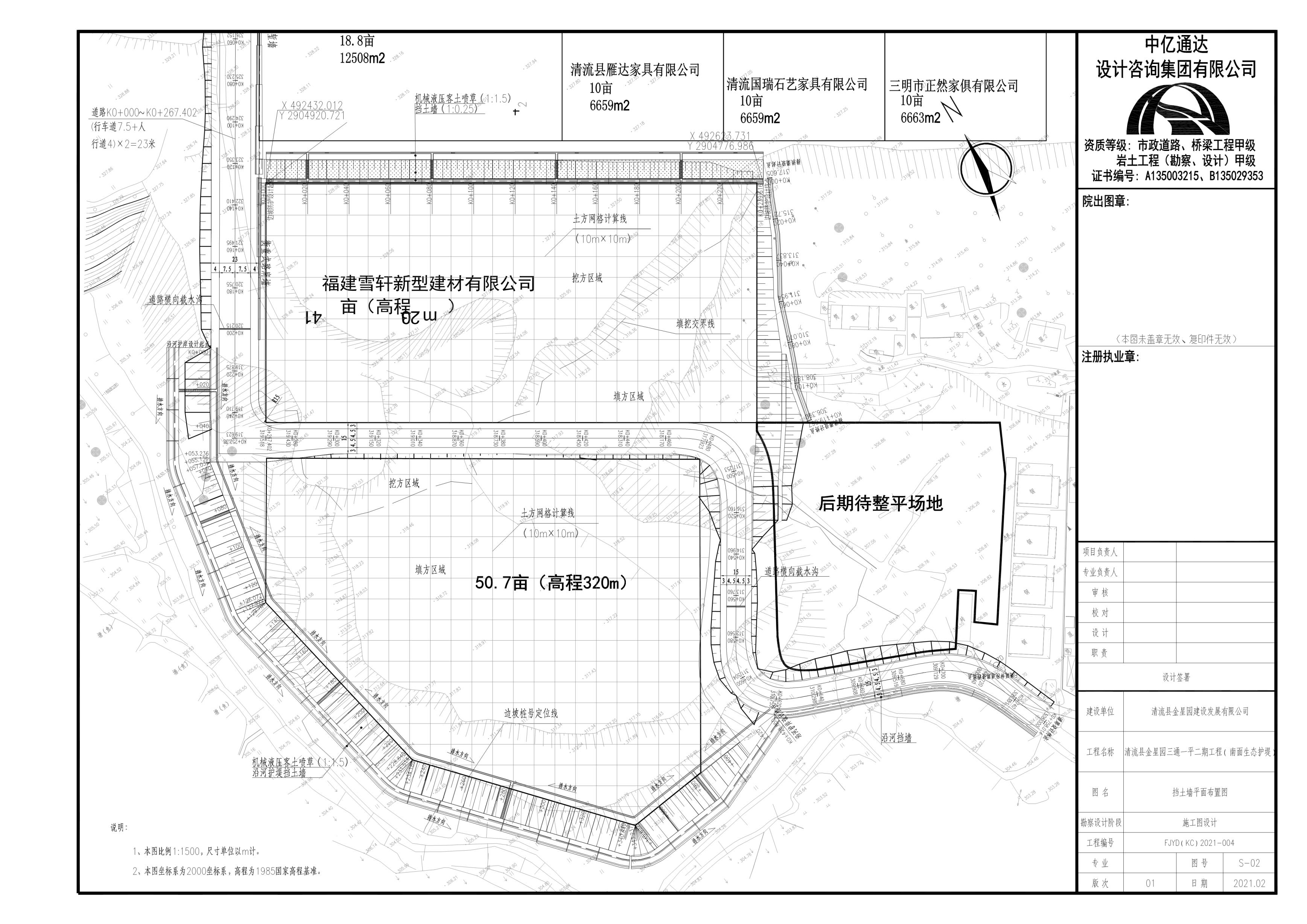
清流县金星园三通一平二期工程,工程建设南面生态护堤,边坡及绿化4598平方米,护堤及绿化9809平方米,挡土墙632米。项目地址:清流县嵩溪镇青山村。
二、公示期限
2021年11月16日-2021年11月23日
三、反馈方式
1.来信来访
地址:清流县龙津镇水南街378号,永顺办公综合楼
单位:清流县自然资源局
邮编:365300
2.联系电话
0598-5323058
附图:区位图、总平面图、鸟瞰图。
清流县自然资源局
2021年11月16日
扫一扫在手机上查看当前页面





闽公网安备号: